Australien

MH370-Sucher finden historisches Wrack

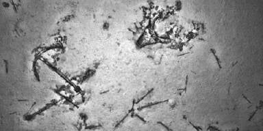
Das gesunkene Schiff wurde in fast vier Kilometern Tiefe geortet.

Bei der Suche nach der vor mehr als einem Jahr verschwundenen Malaysia-Airlines-Maschine mit der Flugnummer MH370 ist tief auf dem Grund des Indischen Ozeans ein Schiffswrack entdeckt worden.

Zunächst seien "viele kleine helle Reflexionen" auf dem sonst glatten Meeresboden aufgespürt worden. Das Echolot eines unbemannten U-Boots und eine Kamera brachten weitere Klarheit. "Es ist ein faszinierender Fund", sagte der Leiter des internationalen Sucheinsatzes, Peter Foley.

Bei dem Wrack soll es sich um ein Frachtschiff aus dem späten 19. Jahrhundert handeln, sagte der australische Archäologe Michael McCarthy dem Sender ABC. Experten versuchen nun, das Schiff zu identifizieren.

Auf Bildern ist ein Anker zu erkennen sowie andere Teile, die offenbar zu dem Schiffswrack gehören. Auch ein paar mutmaßliche Kohleklumpen wurden an der Stelle in 3.900 Metern Tiefe entdeckt. Zwar sei es enttäuschend, dass es sich nicht um die am 8. März 2014 mit 239 Menschen an Bord spurlos verschwundene Boeing 777 handle, sagte Foley. Doch habe der Fund bewiesen, dass der Sucheinsatz in der Lage sei, Wracks aufzuspüren.

 

Fehler im Artikel gefunden? Jetzt melden.
OE24 Logo
Es gibt neue Nachrichten