Der Hurrikan hat die Küste Floridas erreicht und zieht an ihr entlang nach Norden.
Der verheerende Hurrikan "Matthew" hat in Haiti laut Behörden mindestens 842 Menschen in Haiti getötet. Auch in Florida kam eine Person ums Leben. Dutzende Tote habe es allein in dem Küstenort Les Anglais gegeben, den die ersten Helfer erst jetzt, Tage nach dem Sturm, erreichten.
Der Sturm bewegt sich auf den US-Bundesstaat Florida zu. In der an Haiti angrenzenden Dominikanischen Republik hatte es vier Todesopfer gegeben.
Millionen auf der Flucht
In Florida und den angrenzenden Bundesstaaten brachten sich Millionen Menschen in Sicherheit. Allein die Regierung in South Carolina ordnete die Evakuierung von mehr als einer Million Bürgern an, US-Präsident Barack Obama erklärte für den Staat den Notstand. In Florida, Georgia und den Carolinas waren die Straßen verstopft, Tankstellen und Supermärkte wurden leergekauft. "Matthew" ist mit Windgeschwindigkeiten bis zu 230 Kilometer pro Stunde der stärkste Wirbelsturm seit fast einem Jahrzehnt.
In Haiti zerstörte der Sturm Gebäude, Straßen und Anbauflächen. Da viele der am stärksten betroffenen Gebiete nicht mehr erreichbar waren, ist das genaue Ausmaß der Katastrophe noch nicht abschätzbar. In dem völlig verarmten Karibikstaat leben sechs Jahre nach dem verheerenden Erdbeben mit mehr als 200.000 Toten immer noch Zehntausende in Zelten und Notunterkünften.
Prognostizierte Zugbahn des Hurrikans
Grafik APA
Der LIVE-Ticker zum Nachlesen
14.00 Uhr: Regen-Radar
Radar loop since Oct 6 of Hurricane #Matthew continuing up Florida's east coast this morning. Other updates: https://t.co/RHpWwSO8kn pic.twitter.com/0qYCh600g5
— NWS New Orleans (@NWSNewOrleans) 7. Oktober 2016
13.28 Uhr: "Matthew" wird etwas schwächer
Auf seinem Weg entlang der Küste Floridas nimmt die Stärke von Hurrikan "Matthew" ab. Ein Grund dafür ist, dass der Sturm in Küstennähe weniger Energie aus dem Wasser gewinnen kann.
13.15 Uhr: Aktuelles Video aus Daytona Beach:
Watch the sunrise over Daytona Beach, Florida, as a powerful Hurricane #Matthew lurks offshore https://t.co/ygr4fKwg4J pic.twitter.com/ei9VJ26xsk
— CNN (@CNN) 7. Oktober 2016
12.30 Uhr: Sturmspitzen
Die stärksten Böen von bis zu 195 km/h befinden sich glücklicherweise auf der der Küste abgewandten Seite des Hurrikan-Auges. Der zweite auf der Karte erkennbare Hurrikan ist übrigens Hurrikan "Nicole", der sich aber bis zum Wochenende zu einem tropischen Sturm abschwächen wird.
12.07 Uhr: Massive Blackouts
Heftige Regenfälle und schwere Sturmböen bringen die Elektrizitätsversorgung in Florida an ihre Grenzen. Berichten zufolge sollen bereits mehr als 300.000 Haushalte ohne Strom sein.
12.03 Uhr. 9-Meter-Wellen
Vor Cape Canaveral erreichen die Wellen nun eine Höhe von unglaublichen 9 Metern.
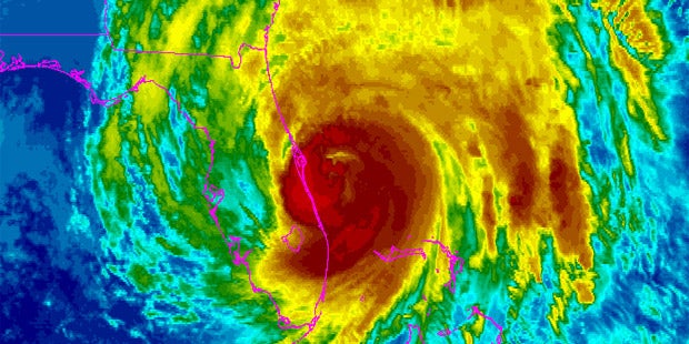
12.00 Uhr: Das Infrarot-Satellitenbild zeigt, wie knapp sich das Auge des riesigen Sturms vor der Küste Floridas befindet.
Grafik: NOAA
11.30 Uhr: Hier wird Sturm in Hurrikan-Stärke erwartet
Grafik: NOAA
11.05 Uhr: Wo und wann trifft "Matthew" die US-Küste?
Die Prognosen gehen davon aus, dass der Sturm innerhalb der nächsten Stunden in Florida auf Land treffen könnte – das ist gegen 8 Uhr Früh Ortszeit.
Wo genau könnte das Zentrum von „Matthew“ die Küste treffen? Das ist derzeit noch unsicher. Am wahrscheinlichsten gilt aber ein möglicher „Landfall“ zwischen Orlando und Daytona Beach.
10.35 Uhr: Stufe 3 - 30 Kilometer vor der Küste
Der Hurrikan wurde auf Stufe 3 heruntergestuft. Das Zentrum des Wirbelsturms, das so genannte "Auge" befindet sich derzeit nur noch 30 Kilometer vor der Küste Floridas.
10.15 Uhr: Das Auge des Hurrikans
#HurricaneMatthew Latest radar pic shows the eye, where wind is calm & no rain. The eyewall where winds strongest & rain heaviest. Darren pic.twitter.com/jm665eAtEl
— BBC Weather (@bbcweather) 7. Oktober 2016
10.05 Uhr: Wie "Katrina"?
In Florida richtete zuletzt Hurrikan "Andrew" 1992 verheerende Schäden an und kostete Dutzende Menschen das Leben. Doch "Matthew" wird immer wieder mit "Katrina" verglichen, einem der schwersten Hurrikane der US-Geschichte. Der Sturm wütete im August 2005 entlang der Golfküste. Mehr als 1.800 Menschen kamen ums Leben. Besonders betroffen war New Orleans. Teile von Louisianas größter Stadt wurden zerstört. Der Sturm soll einen Schaden von mehr als 100 Milliarden Dollar (heute etwa 90 Milliarden Euro) verursacht haben und die teuerste Naturkatastrophe in den USA gewesen sein.