In 4.000m Tiefe

Bei Suche nach MH370 Schiffswrack gefunden

Kurioser Fund auf der Suche nach dem verschwundenen Flieger.

Bei der Suche nach der vor mehr als einem Jahr verschwundenen Malaysia-Airlines-Maschine mit der Flugnummer MH370 ist tief auf dem Grund des Indischen Ozeans ein Schiffswrack entdeckt worden. Das teilte die australische Verkehrssicherheitsbehörde am Mittwoch mit.

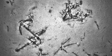
Zunächst seien "viele kleine helle Reflexionen" auf dem sonst glatten Meeresboden aufgespürt worden, berichtete die Behörde. Das Echolot eines unbemannten U-Boots und eine Kamera brachten weitere Klarheit. "Es ist ein faszinierender Fund", sagte der Leiter des internationalen Sucheinsatzes, Peter Foley.

Auf Bildern ist ein Anker zu erkennen sowie andere Teile, die offenbar zu dem Schiffswrack gehören. Auch ein paar mutmaßliche Kohleklumpen wurden an der Stelle in 3.900 Metern Tiefe entdeckt. Zwar sei es enttäuschend, dass es sich nicht um die am 8. März 2014 mit 239 Menschen an Bord spurlos verschwundene Boeing 777 handle, sagte Foley. Doch habe der Fund bewiesen, dass der Sucheinsatz in der Lage sei, Wracks aufzuspüren.

An dem Sucheinsatz sind neben Australien auch Malaysia und China beteiligt. Ein 60.000 Quadratkilometer großes Gebiet ist inzwischen zu drei Vierteln durchkämmt. Das Suchgebiet wird deswegen verdoppelt. Die Suche könnte damit noch ein weiteres Jahr fortgesetzt werden.

 

Fehler im Artikel gefunden? Jetzt melden.
OE24 Logo
Es gibt neue Nachrichten