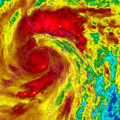
Böen bis zu 379 km/h

Rekord-Taifun "Haiyan" verwüstet Philippinen

Der Taifun ist der schwerste Sturm, der jemals Land getroffen hat.

Einer der schwersten Stürme aller Zeiten hat die Philippinen heimgesucht: Der Rekordtaifun "Haiyan" riss am Freitag nach Behördenangaben mindestens drei Menschen in den Tod, allerdings wurde mit weiteren Todesopfern gerechnet. Vor dem Wirbelsturm, der mit Böen von bis zu 379 Stundenkilometern über die zentrale Insel Samar hinwegzog, waren 125.000 Menschen in Sicherheit gebracht worden.

"Haiyan" fegt über die Philippinen

Mit Böen von bis zu 275 Stundenkilometern hat der Taifun "Haiyan" am Freitagmorgen die Philippinen erreicht. Zuvor waren Zehntausende Menschen in Sicherheit gebracht worden. Schulen blieben geschlossen, Hunderte Flüge wurden gestrichen. "Haiyan" ist der weltweit bisher stärkste Sturm dieses Jahres.

Mit Böen von bis zu 275 Stundenkilometern hat der Taifun "Haiyan" am Freitagmorgen die Philippinen erreicht. Zuvor waren Zehntausende Menschen in Sicherheit gebracht worden. Schulen blieben geschlossen, Hunderte Flüge wurden gestrichen. "Haiyan" ist der weltweit bisher stärkste Sturm dieses Jahres.

Mit Böen von bis zu 275 Stundenkilometern hat der Taifun "Haiyan" am Freitagmorgen die Philippinen erreicht. Zuvor waren Zehntausende Menschen in Sicherheit gebracht worden. Schulen blieben geschlossen, Hunderte Flüge wurden gestrichen. "Haiyan" ist der weltweit bisher stärkste Sturm dieses Jahres.

Mit Böen von bis zu 275 Stundenkilometern hat der Taifun "Haiyan" am Freitagmorgen die Philippinen erreicht. Zuvor waren Zehntausende Menschen in Sicherheit gebracht worden. Schulen blieben geschlossen, Hunderte Flüge wurden gestrichen. "Haiyan" ist der weltweit bisher stärkste Sturm dieses Jahres.

Mit Böen von bis zu 275 Stundenkilometern hat der Taifun "Haiyan" am Freitagmorgen die Philippinen erreicht. Zuvor waren Zehntausende Menschen in Sicherheit gebracht worden. Schulen blieben geschlossen, Hunderte Flüge wurden gestrichen. "Haiyan" ist der weltweit bisher stärkste Sturm dieses Jahres.

Mit Böen von bis zu 275 Stundenkilometern hat der Taifun "Haiyan" am Freitagmorgen die Philippinen erreicht. Zuvor waren Zehntausende Menschen in Sicherheit gebracht worden. Schulen blieben geschlossen, Hunderte Flüge wurden gestrichen. "Haiyan" ist der weltweit bisher stärkste Sturm dieses Jahres.

Mit Böen von bis zu 275 Stundenkilometern hat der Taifun "Haiyan" am Freitagmorgen die Philippinen erreicht. Zuvor waren Zehntausende Menschen in Sicherheit gebracht worden. Schulen blieben geschlossen, Hunderte Flüge wurden gestrichen.  "Haiyan" ist der weltweit bisher stärkste Sturm dieses Jahres.

Mit Böen von bis zu 275 Stundenkilometern hat der Taifun "Haiyan" am Freitagmorgen die Philippinen erreicht. Zuvor waren Zehntausende Menschen in Sicherheit gebracht worden. Schulen blieben geschlossen, Hunderte Flüge wurden gestrichen. "Haiyan" ist der weltweit bisher stärkste Sturm dieses Jahres.

Mit Böen von bis zu 275 Stundenkilometern hat der Taifun "Haiyan" am Freitagmorgen die Philippinen erreicht. Zuvor waren Zehntausende Menschen in Sicherheit gebracht worden. Schulen blieben geschlossen, Hunderte Flüge wurden gestrichen. "Haiyan" ist der weltweit bisher stärkste Sturm dieses Jahres.

Mit Böen von bis zu 275 Stundenkilometern hat der Taifun "Haiyan" am Freitagmorgen die Philippinen erreicht. Zuvor waren Zehntausende Menschen in Sicherheit gebracht worden. Schulen blieben geschlossen, Hunderte Flüge wurden gestrichen.  "Haiyan" ist der weltweit bisher stärkste Sturm dieses Jahres.

Mit Böen von bis zu 275 Stundenkilometern hat der Taifun "Haiyan" am Freitagmorgen die Philippinen erreicht. Zuvor waren Zehntausende Menschen in Sicherheit gebracht worden. Schulen blieben geschlossen, Hunderte Flüge wurden gestrichen. "Haiyan" ist der weltweit bisher stärkste Sturm dieses Jahres.


Mit Böen von bis zu 275 Stundenkilometern hat der Taifun "Haiyan" am Freitagmorgen die Philippinen erreicht. Zuvor waren Zehntausende Menschen in Sicherheit gebracht worden. Schulen blieben geschlossen, Hunderte Flüge wurden gestrichen.  "Haiyan" ist der weltweit bisher stärkste Sturm dieses Jahres.

Mit Böen von bis zu 275 Stundenkilometern hat der Taifun "Haiyan" am Freitagmorgen die Philippinen erreicht. Zuvor waren Zehntausende Menschen in Sicherheit gebracht worden. Schulen blieben geschlossen, Hunderte Flüge wurden gestrichen. "Haiyan" ist der weltweit bisher stärkste Sturm dieses Jahres.

Mit Böen von bis zu 275 Stundenkilometern hat der Taifun "Haiyan" am Freitagmorgen die Philippinen erreicht. Zuvor waren Zehntausende Menschen in Sicherheit gebracht worden. Schulen blieben geschlossen, Hunderte Flüge wurden gestrichen. "Haiyan" ist der weltweit bisher stärkste Sturm dieses Jahres.

Mit Böen von bis zu 275 Stundenkilometern hat der Taifun "Haiyan" am Freitagmorgen die Philippinen erreicht. Zuvor waren Zehntausende Menschen in Sicherheit gebracht worden. Schulen blieben geschlossen, Hunderte Flüge wurden gestrichen.  "Haiyan" ist der weltweit bisher stärkste Sturm dieses Jahres.

Mit Böen von bis zu 275 Stundenkilometern hat der Taifun "Haiyan" am Freitagmorgen die Philippinen erreicht. Zuvor waren Zehntausende Menschen in Sicherheit gebracht worden. Schulen blieben geschlossen, Hunderte Flüge wurden gestrichen.  "Haiyan" ist der weltweit bisher stärkste Sturm dieses Jahres.

Mit Böen von bis zu 275 Stundenkilometern hat der Taifun "Haiyan" am Freitagmorgen die Philippinen erreicht. Zuvor waren Zehntausende Menschen in Sicherheit gebracht worden. Schulen blieben geschlossen, Hunderte Flüge wurden gestrichen. "Haiyan" ist der weltweit bisher stärkste Sturm dieses Jahres.

Mit Böen von bis zu 275 Stundenkilometern hat der Taifun "Haiyan" am Freitagmorgen die Philippinen erreicht. Zuvor waren Zehntausende Menschen in Sicherheit gebracht worden. Schulen blieben geschlossen, Hunderte Flüge wurden gestrichen.  "Haiyan" ist der weltweit bisher stärkste Sturm dieses Jahres.

Mit Böen von bis zu 275 Stundenkilometern hat der Taifun "Haiyan" am Freitagmorgen die Philippinen erreicht. Zuvor waren Zehntausende Menschen in Sicherheit gebracht worden. Schulen blieben geschlossen, Hunderte Flüge wurden gestrichen.  "Haiyan" ist der weltweit bisher stärkste Sturm dieses Jahres.



Laut der philippinischen Regierung starben beim weltweit schwersten Sturm des Jahres zwei Menschen durch Stromschläge wegen herabgerissener Kabel, ein drittes Opfer wurde vom Blitz getroffen. Ein Mann galt als vermisst, nachdem er von einem Landungssteg im Hafen Cebu gestürzt war. Die meisten Verletzten kamen durch umherfliegende Trümmer zu Schaden.

Die Behörden rechneten mit steigenden Opferzahlen, weil die am schwersten betroffenen Gebiete vorerst von der Außenwelt abgeschlossen waren. Es wurde allerdings nicht erwartet, dass es so schlimm kommt wie 2012, als der Taifun "Bopha" etwa 2.000 Menschen in den Tod gerissen hatte.

Schwerster Sturm, der jemals Land getroffen hat

Mit anhaltenden Windstärken von um die 315 Stundenkilometern sei "Haiyan" allerdings einer der vier weltweit schwersten Stürme seit Beginn der Wetteraufzeichnungen, erklärte Jeff Masters vom US-Wetterdienst Weather Underground. Er sei überdies der schlimmste Sturm in den Aufzeichnungen, der jemals auf Land getroffen sei. Diesen Rekord hatte laut Masters bisher der Hurrikan "Camille" gehalten, der 1969 mit Windgeschwindigkeiten von rund 305 Stundenkilometern über den US-Bundesstaat Mississippi hereingebrochen war.

"Haiyan" fegte zunächst über die Küsten von Samar, rund 600 Kilometer südöstlich der Hauptstadt Manila. "Es war furchterregend", schilderte Liwayway Sabuco, eine Verkäuferin in der Stadt Catbalogan, das Unwetter. "Es war so laut, als wenn eine Frau schreien würde. Ich konnte sehen, wie Bäume umgerissen wurden." In der 200.000-Einwohner-Stadt Tacloban verwandelten Sturmfluten die Straßen in reißende Bäche, wie das Video eines Anrainers zeigte.

Meteorologen rechneten auf Samar mit "katastrophalen" Zerstörungen in der Einzugsschneise des Taifuns. Im Vorfeld waren landesweit mehr als 125.000 Menschen in Sicherheit gebracht worden. Mehr als 718.000 Menschen fanden Zuflucht in Notunterkünften.

Schulen blieben geschlossen, der Fährverkehr kam zum Erliegen, Flüge wurden gestrichen. Besonders gefährdet waren die Einwohner der Insel Bohol, wo seit einem Erdbeben im Oktober mit mehr als 220 Todesopfern noch immer 350.000 Menschen in Zeltstädten leben. Am Wochenende sollte "Haiyan" zudem Laos und Vietnam erreichen.

Die Philippinen werden von durchschnittlich 20 schweren Stürmen im Jahr heimgesucht. Das Entwicklungsland ist besonders betroffen, weil seine Inseln oftmals die ersten größeren Landmassen auf dem Weg der Stürme über den Pazifik sind. Wissenschafter befürchten, dass die Erderwärmung die Unwettergefahr für die Philippinen weiter vergrößert.

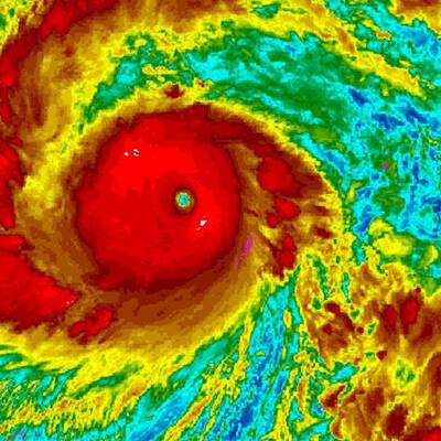
So entstehen Super-Taifune

Der Taifun ist ein tropischer Wirbelsturm, der im nordwestlichen Teil des Pazifiks und in Ost- und Südostasien vorkommt. Er entsteht vorwiegend in der Zeit zwischen Juli und November.

Grundlage für die Entstehung ist ein mächtiges Tiefdrucksystem. Die Meeresoberfläche muss mit einer Temperatur von nahezu 30°C sehr warm sein. Aber noch wichtiger ist der Temperaturunterschied zwischen dem Wasser und der Temperatur in den höheren Luftschichten.

Der Taifun entsteht über großen Meeresoberflächen durch die geringe Reibung als an Land und die hohe Luftfeuchtigkeit.

Was bei einem Taifun oft unterschätzt wird, sind neben den sehr großen Windgeschwindigkeiten auch die sintflutartigen Regenfälle, die in der Nähe des Wirbelsturmzentrums (Auge des Taifuns) entstehen. Dabei können mehrere hundert Liter pro Quadratmeter in wenigen Stunden fallen und auf dem Festland für schwere Überflutungen sorgen.

Früher wurde beim Durchzug des Auges oft das Ende des Sturmes vermutet. Was allerdings ein fataler Fehler war. Im Auge des Sturms herrscht zwar Windstille und Niederschlagsfreiheit, allerdings nicht für lange Zeit. Denn um das Auge herum befinden sich die hochreichenden Quellwolken (eyewall), in der die höchsten Windgeschwindigkeiten auftreten.

<spunQ:Image id="100976242"/>
 

Fehler im Artikel gefunden? Jetzt melden.

"Haiyan" fegt über die Philippinen

Mit Böen von bis zu 275 Stundenkilometern hat der Taifun "Haiyan" am Freitagmorgen die Philippinen erreicht. Zuvor waren Zehntausende Menschen in Sicherheit gebracht worden. Schulen blieben geschlossen, Hunderte Flüge wurden gestrichen. "Haiyan" ist der weltweit bisher stärkste Sturm dieses Jahres.

Mit Böen von bis zu 275 Stundenkilometern hat der Taifun "Haiyan" am Freitagmorgen die Philippinen erreicht. Zuvor waren Zehntausende Menschen in Sicherheit gebracht worden. Schulen blieben geschlossen, Hunderte Flüge wurden gestrichen. "Haiyan" ist der weltweit bisher stärkste Sturm dieses Jahres.

Mit Böen von bis zu 275 Stundenkilometern hat der Taifun "Haiyan" am Freitagmorgen die Philippinen erreicht. Zuvor waren Zehntausende Menschen in Sicherheit gebracht worden. Schulen blieben geschlossen, Hunderte Flüge wurden gestrichen. "Haiyan" ist der weltweit bisher stärkste Sturm dieses Jahres.

Mit Böen von bis zu 275 Stundenkilometern hat der Taifun "Haiyan" am Freitagmorgen die Philippinen erreicht. Zuvor waren Zehntausende Menschen in Sicherheit gebracht worden. Schulen blieben geschlossen, Hunderte Flüge wurden gestrichen. "Haiyan" ist der weltweit bisher stärkste Sturm dieses Jahres.

Mit Böen von bis zu 275 Stundenkilometern hat der Taifun "Haiyan" am Freitagmorgen die Philippinen erreicht. Zuvor waren Zehntausende Menschen in Sicherheit gebracht worden. Schulen blieben geschlossen, Hunderte Flüge wurden gestrichen. "Haiyan" ist der weltweit bisher stärkste Sturm dieses Jahres.

Mit Böen von bis zu 275 Stundenkilometern hat der Taifun "Haiyan" am Freitagmorgen die Philippinen erreicht. Zuvor waren Zehntausende Menschen in Sicherheit gebracht worden. Schulen blieben geschlossen, Hunderte Flüge wurden gestrichen. "Haiyan" ist der weltweit bisher stärkste Sturm dieses Jahres.

Mit Böen von bis zu 275 Stundenkilometern hat der Taifun "Haiyan" am Freitagmorgen die Philippinen erreicht. Zuvor waren Zehntausende Menschen in Sicherheit gebracht worden. Schulen blieben geschlossen, Hunderte Flüge wurden gestrichen.  "Haiyan" ist der weltweit bisher stärkste Sturm dieses Jahres.

Mit Böen von bis zu 275 Stundenkilometern hat der Taifun "Haiyan" am Freitagmorgen die Philippinen erreicht. Zuvor waren Zehntausende Menschen in Sicherheit gebracht worden. Schulen blieben geschlossen, Hunderte Flüge wurden gestrichen. "Haiyan" ist der weltweit bisher stärkste Sturm dieses Jahres.

Mit Böen von bis zu 275 Stundenkilometern hat der Taifun "Haiyan" am Freitagmorgen die Philippinen erreicht. Zuvor waren Zehntausende Menschen in Sicherheit gebracht worden. Schulen blieben geschlossen, Hunderte Flüge wurden gestrichen. "Haiyan" ist der weltweit bisher stärkste Sturm dieses Jahres.

Mit Böen von bis zu 275 Stundenkilometern hat der Taifun "Haiyan" am Freitagmorgen die Philippinen erreicht. Zuvor waren Zehntausende Menschen in Sicherheit gebracht worden. Schulen blieben geschlossen, Hunderte Flüge wurden gestrichen.  "Haiyan" ist der weltweit bisher stärkste Sturm dieses Jahres.

Mit Böen von bis zu 275 Stundenkilometern hat der Taifun "Haiyan" am Freitagmorgen die Philippinen erreicht. Zuvor waren Zehntausende Menschen in Sicherheit gebracht worden. Schulen blieben geschlossen, Hunderte Flüge wurden gestrichen. "Haiyan" ist der weltweit bisher stärkste Sturm dieses Jahres.


Mit Böen von bis zu 275 Stundenkilometern hat der Taifun "Haiyan" am Freitagmorgen die Philippinen erreicht. Zuvor waren Zehntausende Menschen in Sicherheit gebracht worden. Schulen blieben geschlossen, Hunderte Flüge wurden gestrichen.  "Haiyan" ist der weltweit bisher stärkste Sturm dieses Jahres.

Mit Böen von bis zu 275 Stundenkilometern hat der Taifun "Haiyan" am Freitagmorgen die Philippinen erreicht. Zuvor waren Zehntausende Menschen in Sicherheit gebracht worden. Schulen blieben geschlossen, Hunderte Flüge wurden gestrichen. "Haiyan" ist der weltweit bisher stärkste Sturm dieses Jahres.

Mit Böen von bis zu 275 Stundenkilometern hat der Taifun "Haiyan" am Freitagmorgen die Philippinen erreicht. Zuvor waren Zehntausende Menschen in Sicherheit gebracht worden. Schulen blieben geschlossen, Hunderte Flüge wurden gestrichen. "Haiyan" ist der weltweit bisher stärkste Sturm dieses Jahres.

Mit Böen von bis zu 275 Stundenkilometern hat der Taifun "Haiyan" am Freitagmorgen die Philippinen erreicht. Zuvor waren Zehntausende Menschen in Sicherheit gebracht worden. Schulen blieben geschlossen, Hunderte Flüge wurden gestrichen.  "Haiyan" ist der weltweit bisher stärkste Sturm dieses Jahres.

Mit Böen von bis zu 275 Stundenkilometern hat der Taifun "Haiyan" am Freitagmorgen die Philippinen erreicht. Zuvor waren Zehntausende Menschen in Sicherheit gebracht worden. Schulen blieben geschlossen, Hunderte Flüge wurden gestrichen.  "Haiyan" ist der weltweit bisher stärkste Sturm dieses Jahres.

Mit Böen von bis zu 275 Stundenkilometern hat der Taifun "Haiyan" am Freitagmorgen die Philippinen erreicht. Zuvor waren Zehntausende Menschen in Sicherheit gebracht worden. Schulen blieben geschlossen, Hunderte Flüge wurden gestrichen. "Haiyan" ist der weltweit bisher stärkste Sturm dieses Jahres.

Mit Böen von bis zu 275 Stundenkilometern hat der Taifun "Haiyan" am Freitagmorgen die Philippinen erreicht. Zuvor waren Zehntausende Menschen in Sicherheit gebracht worden. Schulen blieben geschlossen, Hunderte Flüge wurden gestrichen.  "Haiyan" ist der weltweit bisher stärkste Sturm dieses Jahres.

Mit Böen von bis zu 275 Stundenkilometern hat der Taifun "Haiyan" am Freitagmorgen die Philippinen erreicht. Zuvor waren Zehntausende Menschen in Sicherheit gebracht worden. Schulen blieben geschlossen, Hunderte Flüge wurden gestrichen.  "Haiyan" ist der weltweit bisher stärkste Sturm dieses Jahres.

So entstehen Super-Taifune

Der Taifun ist ein tropischer Wirbelsturm, der im nordwestlichen Teil des Pazifiks und in Ost- und Südostasien vorkommt. Er entsteht vorwiegend in der Zeit zwischen Juli und November.

Grundlage für die Entstehung ist ein mächtiges Tiefdrucksystem. Die Meeresoberfläche muss mit einer Temperatur von nahezu 30°C sehr warm sein. Aber noch wichtiger ist der Temperaturunterschied zwischen dem Wasser und der Temperatur in den höheren Luftschichten.

Der Taifun entsteht über großen Meeresoberflächen durch die geringe Reibung als an Land und die hohe Luftfeuchtigkeit.

Was bei einem Taifun oft unterschätzt wird, sind neben den sehr großen Windgeschwindigkeiten auch die sintflutartigen Regenfälle, die in der Nähe des Wirbelsturmzentrums (Auge des Taifuns) entstehen. Dabei können mehrere hundert Liter pro Quadratmeter in wenigen Stunden fallen und auf dem Festland für schwere Überflutungen sorgen.

Früher wurde beim Durchzug des Auges oft das Ende des Sturmes vermutet. Was allerdings ein fataler Fehler war. Im Auge des Sturms herrscht zwar Windstille und Niederschlagsfreiheit, allerdings nicht für lange Zeit. Denn um das Auge herum befinden sich die hochreichenden Quellwolken (eyewall), in der die höchsten Windgeschwindigkeiten auftreten.

OE24 Logo
Es gibt neue Nachrichten