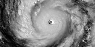
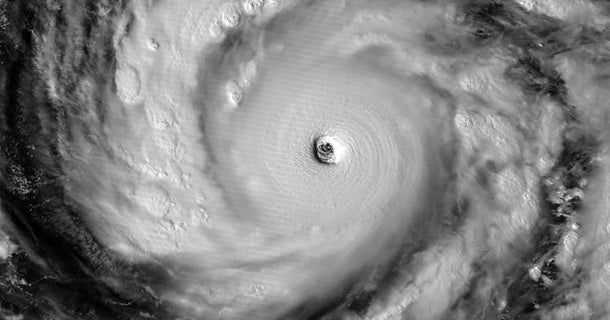
Perfektes Sturmauge

Supertaifun auf dem Weg nach Japan

Der Wirbelsturm soll so stark wie "Haiyan" auf den Philippinen werden: 8000 Menschen starben dabei vor einem Jahr.

Ein Supertaifun bewegt sich auf Japan zu und droht dort schwere Schäden zu verursachen. Meteorologen warnten am Mittwoch, der Wirbelsturm "Vongfong" könnte ebenso stark werden wie der verheerende Taifun "Haiyan", der vergangenen November fast 8.000 Menschen auf den Philippinen das Leben gekostet hatte.

"Seine Stärke ist mit Haiyan sehr vergleichbar", sagte ein Mitarbeiter des japanischen Wetterdiensts. Die Sturmböen seien ebenso heftig wie bei dem Taifun im November.

Satellitenbilder von "Vongfong" zeigten ein perfektes Sturmauge in einer riesigen Wolkenscheibe, die aus der gesamten Tropenzone Wettersysteme anzuziehen schien. Der Taifun dürfte zunächst weiter Fahrt aufnehmen, bevor er sich auf seinem Weg aus den Tropen nach Norden wieder abschwächt. Es wird erwartet, dass der Taifun am Wochenende die japanische Küste erreicht. Japan war erst vor wenigen Tagen von einem Taifun getroffen worden, der elf Menschen das Leben kostete.

Fehler im Artikel gefunden? Jetzt melden.

Taifun trifft Japan

Arbeiter versuchen ein Gleis zu reparieren.

Ein japanisches TV-Team im Katastrophengebiet.

Zerstörtes Haus in Kadena.

Erdrutsch in Nagiso.

Der Taifun aus dem Weltraum, 10. Juli 2014.

Riesige Wellen vor Kadena auf der Insel Okinawa.

Dutzende Verletzte gab es bei Erdrtuschen.

Zerstörung in Nagiso.

Wellen vor der Insel Gageo.

Zerstörte Fischkäfige auf der Insel Jeju.

Brücken wurden unterspült.

Extremer Wind und Sturmfluten bedrohen das Land.

So sieht der gewaltige Sturm aus dem Weltraum aus.

So sieht es in einem Haus in Uruma aus.

Auf der Insel Okinawa wurden bereits Bäume entwurzelt, so wie hier in Naha.

Straßen werden überschwemmt.

Ein Kühlschrank wurde einfach aus einem Haus geblasen.

Bäume werden entwurzelt.

Erdrutsche gehen auf Dörfer.

Auch in Naha stürzen Bäume um.

Dieses Restaurant in einem Holzhaus hielt dem Sturm nicht Stand.

Eine Frau in Naha kämpft gegen den stürmischen Wind.

Riesige Wellen erreichen den Strand von Wase Beach.

Plastikplanen eines Mango-Gewächshauses in Tomigusku fliegen fast davon.

OE24 Logo
Es gibt neue Nachrichten