Mega-Sturm

Deutschland-großer Taifun rast auf Japan zu

Am Wochenende wird "Vongfong" auf Land treffen - mit über 250 km/h.

Ein Taifun so groß wie Deutschland nimmt seit Tagen Kurs auf Japan. Alleine sein Auge hat einen Durchmesser von etwa 80 Kilometern - das ist weiter als die Strecke von Wien zum Semmering. Mit Böen bis zu 252 Stundenkilometern bewegt sich "Vongfong" auf die südliche Insel Okinawa zu, wie der japanische Wetterdienst mitteilte. Es wurde erwartet, dass er am Wochenende Land erreicht.

Japanische Meteorologen warnten, der Sturm bleibe "groß und sehr stark", auch wenn er zuletzt herabgestuft worden war. "Vongfong" war zuvor als Supertaifun wie der Sturm "Haiyan" eingestuft worden, der im November die Philippinen verwüstet hatte.

Satellitenaufnahmen von "Vongfong" zeigten das Idealbild eines Sturms mit einem perfekten Auge. Japan war erst vor wenigen Tagen von einem Taifun getroffen worden, durch den elf Menschen ums Leben kamen. "Vongfong" dürfte am Wochenende über mehrere Inseln nördlich von Okinawa ziehen und am Montag auf die südliche Hauptinsel Kyushu treffen.

Fehler im Artikel gefunden? Jetzt melden.

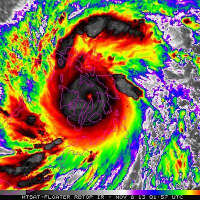
"Haiyan" fegt über die Philippinen

Mit Böen von bis zu 275 Stundenkilometern hat der Taifun "Haiyan" am Freitagmorgen die Philippinen erreicht. Zuvor waren Zehntausende Menschen in Sicherheit gebracht worden. Schulen blieben geschlossen, Hunderte Flüge wurden gestrichen. "Haiyan" ist der weltweit bisher stärkste Sturm dieses Jahres.

Mit Böen von bis zu 275 Stundenkilometern hat der Taifun "Haiyan" am Freitagmorgen die Philippinen erreicht. Zuvor waren Zehntausende Menschen in Sicherheit gebracht worden. Schulen blieben geschlossen, Hunderte Flüge wurden gestrichen. "Haiyan" ist der weltweit bisher stärkste Sturm dieses Jahres.

Mit Böen von bis zu 275 Stundenkilometern hat der Taifun "Haiyan" am Freitagmorgen die Philippinen erreicht. Zuvor waren Zehntausende Menschen in Sicherheit gebracht worden. Schulen blieben geschlossen, Hunderte Flüge wurden gestrichen. "Haiyan" ist der weltweit bisher stärkste Sturm dieses Jahres.

Mit Böen von bis zu 275 Stundenkilometern hat der Taifun "Haiyan" am Freitagmorgen die Philippinen erreicht. Zuvor waren Zehntausende Menschen in Sicherheit gebracht worden. Schulen blieben geschlossen, Hunderte Flüge wurden gestrichen. "Haiyan" ist der weltweit bisher stärkste Sturm dieses Jahres.

Mit Böen von bis zu 275 Stundenkilometern hat der Taifun "Haiyan" am Freitagmorgen die Philippinen erreicht. Zuvor waren Zehntausende Menschen in Sicherheit gebracht worden. Schulen blieben geschlossen, Hunderte Flüge wurden gestrichen. "Haiyan" ist der weltweit bisher stärkste Sturm dieses Jahres.

Mit Böen von bis zu 275 Stundenkilometern hat der Taifun "Haiyan" am Freitagmorgen die Philippinen erreicht. Zuvor waren Zehntausende Menschen in Sicherheit gebracht worden. Schulen blieben geschlossen, Hunderte Flüge wurden gestrichen. "Haiyan" ist der weltweit bisher stärkste Sturm dieses Jahres.

Mit Böen von bis zu 275 Stundenkilometern hat der Taifun "Haiyan" am Freitagmorgen die Philippinen erreicht. Zuvor waren Zehntausende Menschen in Sicherheit gebracht worden. Schulen blieben geschlossen, Hunderte Flüge wurden gestrichen.  "Haiyan" ist der weltweit bisher stärkste Sturm dieses Jahres.

Mit Böen von bis zu 275 Stundenkilometern hat der Taifun "Haiyan" am Freitagmorgen die Philippinen erreicht. Zuvor waren Zehntausende Menschen in Sicherheit gebracht worden. Schulen blieben geschlossen, Hunderte Flüge wurden gestrichen. "Haiyan" ist der weltweit bisher stärkste Sturm dieses Jahres.

Mit Böen von bis zu 275 Stundenkilometern hat der Taifun "Haiyan" am Freitagmorgen die Philippinen erreicht. Zuvor waren Zehntausende Menschen in Sicherheit gebracht worden. Schulen blieben geschlossen, Hunderte Flüge wurden gestrichen. "Haiyan" ist der weltweit bisher stärkste Sturm dieses Jahres.

Mit Böen von bis zu 275 Stundenkilometern hat der Taifun "Haiyan" am Freitagmorgen die Philippinen erreicht. Zuvor waren Zehntausende Menschen in Sicherheit gebracht worden. Schulen blieben geschlossen, Hunderte Flüge wurden gestrichen.  "Haiyan" ist der weltweit bisher stärkste Sturm dieses Jahres.

Mit Böen von bis zu 275 Stundenkilometern hat der Taifun "Haiyan" am Freitagmorgen die Philippinen erreicht. Zuvor waren Zehntausende Menschen in Sicherheit gebracht worden. Schulen blieben geschlossen, Hunderte Flüge wurden gestrichen. "Haiyan" ist der weltweit bisher stärkste Sturm dieses Jahres.


Mit Böen von bis zu 275 Stundenkilometern hat der Taifun "Haiyan" am Freitagmorgen die Philippinen erreicht. Zuvor waren Zehntausende Menschen in Sicherheit gebracht worden. Schulen blieben geschlossen, Hunderte Flüge wurden gestrichen.  "Haiyan" ist der weltweit bisher stärkste Sturm dieses Jahres.

Mit Böen von bis zu 275 Stundenkilometern hat der Taifun "Haiyan" am Freitagmorgen die Philippinen erreicht. Zuvor waren Zehntausende Menschen in Sicherheit gebracht worden. Schulen blieben geschlossen, Hunderte Flüge wurden gestrichen. "Haiyan" ist der weltweit bisher stärkste Sturm dieses Jahres.

Mit Böen von bis zu 275 Stundenkilometern hat der Taifun "Haiyan" am Freitagmorgen die Philippinen erreicht. Zuvor waren Zehntausende Menschen in Sicherheit gebracht worden. Schulen blieben geschlossen, Hunderte Flüge wurden gestrichen. "Haiyan" ist der weltweit bisher stärkste Sturm dieses Jahres.

Mit Böen von bis zu 275 Stundenkilometern hat der Taifun "Haiyan" am Freitagmorgen die Philippinen erreicht. Zuvor waren Zehntausende Menschen in Sicherheit gebracht worden. Schulen blieben geschlossen, Hunderte Flüge wurden gestrichen.  "Haiyan" ist der weltweit bisher stärkste Sturm dieses Jahres.

Mit Böen von bis zu 275 Stundenkilometern hat der Taifun "Haiyan" am Freitagmorgen die Philippinen erreicht. Zuvor waren Zehntausende Menschen in Sicherheit gebracht worden. Schulen blieben geschlossen, Hunderte Flüge wurden gestrichen.  "Haiyan" ist der weltweit bisher stärkste Sturm dieses Jahres.

Mit Böen von bis zu 275 Stundenkilometern hat der Taifun "Haiyan" am Freitagmorgen die Philippinen erreicht. Zuvor waren Zehntausende Menschen in Sicherheit gebracht worden. Schulen blieben geschlossen, Hunderte Flüge wurden gestrichen. "Haiyan" ist der weltweit bisher stärkste Sturm dieses Jahres.

Mit Böen von bis zu 275 Stundenkilometern hat der Taifun "Haiyan" am Freitagmorgen die Philippinen erreicht. Zuvor waren Zehntausende Menschen in Sicherheit gebracht worden. Schulen blieben geschlossen, Hunderte Flüge wurden gestrichen.  "Haiyan" ist der weltweit bisher stärkste Sturm dieses Jahres.

Mit Böen von bis zu 275 Stundenkilometern hat der Taifun "Haiyan" am Freitagmorgen die Philippinen erreicht. Zuvor waren Zehntausende Menschen in Sicherheit gebracht worden. Schulen blieben geschlossen, Hunderte Flüge wurden gestrichen.  "Haiyan" ist der weltweit bisher stärkste Sturm dieses Jahres.

OE24 Logo
Es gibt neue Nachrichten