Hurrikan

Verwirrung über Opferzahlen nach "Felix"

Der Hurrikan "Felix" hat den größten Teil der Ernte in Nicaragua vernichtet.

Vier Tage nach dem Durchzug des zerstörerischen Hurrikans "Felix" über Nicaragua gab es am Samstag noch immer große Verwirrung über die Opferzahlen. Präsident Daniel Ortega sprach von 52 Toten, betonte aber zugleich, es seien "viel mehr" und riet den Überlebenden, "auf Gott zu vertrauen". Nationale Medien addierten die verschiedenen Angaben von Suchmannschaften und berichteten von etwa 170 Todesopfern. Major Carlos Solano vom Komitee für Spezialeinsätze der Streitkräfte Nicaraguas sprach sogar von bis zu 3.000 Menschen, die möglicherweise ums Leben kamen.

Zorn in Nicaragua wächst
Inzwischen machte sich Zorn über die mangelnden Informationen zu den Opferzahlen breit. Der Fischer Evert García verdächtigte die Marine sogar, sie würde aus dem Meer geborgene Leichen heimlich an abgelegenen Stränden verbrennen, berichtete die Zeitung "El Nuevo Diario". In den Orten an der Küste warteten oft hunderte Menschen auf Nachricht über das Schicksal ihrer Angehörigen.

Verwirrung durch große Zahl der Vermissten
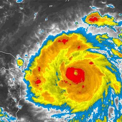
Grund für die unterschiedlichen Angaben war die große Zahl von Vermissten in dem dünn besiedelten Gebiet an der Grenze zu Honduras, wo überwiegend Ureinwohner vom Volk der Misquitos in kleinen und nur schwer zugänglichen Siedlungen leben. "Felix" war am Dienstag mit Windgeschwindigkeiten von bis zu 300 Kilometern pro Stunde als Hurrikan der höchsten Kategorie 5 über die nördlichen Küsten des mittelamerikanischen Landes hinweggefegt.

Nächste Seite: Österreicher nicht betroffen

Nationale Medien berichteten, viele Menschen hätten die erst am Wochenende ausgesprochenen Warnungen vor dem herannahenden Wirbelsturm zu spät erhalten oder nicht ernst genommen. "Felix" hatte kurz vor der Küste Mittelamerikas seinen Kurs geändert und war nicht wie erwartet auf Honduras, sondern etwas weiter südlich auf Nicaragua getroffen.

70.000 Menschen betroffen
Nach Angaben des Zivilschutzes sind in Nicaragua 70.000 Menschen betroffen, 18.500 wurden in Sicherheit gebracht und 16.600 Häuser zerstört oder beschädigt. Der größte Teil der Ernte sei ebenfalls vernichtet. Die Vereinten Nationen kündigten an, sie würden in den kommenden Monaten 43 Millionen Dollar (32 Millionen Euro) für den Wiederaufbau von Häusern, Schulen und Gesundheitszentren zur Verfügung stellen. Unterdessen trafen weitere Hilfslieferungen mit Lebensmitteln, Medikamenten und Notunterkünften aus aller Welt ein.

Österreicher nicht betroffen
Während viele Menschen in Nicaragua vor Hurrikan "Felix" flüchteten, dürften österreichische Urlauber dort nicht betroffen sein. Weder der Reiseveranstalter TUI noch die Verkehrsbüro Group oder die Rewe-Group mit ITS-Reisen, Meier's Weltreisen, ADAC-Reisen und Dertour haben heimische Urlauber in den Gebieten untergebracht.

"Zwei österreichische Gäste kommen heute von einer Rundreise aus Guatemala mit ihrem normal gebuchten Flug zurück. In Mexiko befinden sich noch neun Österreicher, sie sind aber in sicheren Hotels untergebracht", beruhigte TUI-Konzernsprecher Josef Peterleithner. In Nicaragua habe TUI im Moment gar keine Kunden, Honduras und Belize sind nicht im Programm. Umbuchungen oder Stornierungen auf Grund von "Felix" gibt es laut Peterleithner ebenfalls nicht: "Die Gäste wissen, dass es

Fehler im Artikel gefunden? Jetzt melden.

Lebensmittel werden knapp. Viele tätigen letzte "Hamsterkäufe" vor der Flucht.

Felix wird zwischen Honduras und Nicaragua auf die Karibikküste treffen. Nach Angaben des US-Hurrikanzentrums in Miami fegt der Wirbelsturm mit Windgeschwindigkeiten von bis zu 240 Kilometern pro Stunde übers Meer.

An der Karibikküste von Honduras und Nicaragua wurden zahlreiche Bezirke in Alarmbereitschaft versetzt. Menschen verlassen die gefährdete Region.

Hurrikan "Felix" wird voraussichtlich am Dienstagmittag an der Grenze zwischen Honduras und Nicaragua auf die Karibikküste treffen.

Das Rote Kreuz ist in Alarmbereitschaft.

Nocheinmal Volltanken, bevor der Hurrikan auf das Land trifft.

OE24 Logo
Es gibt neue Nachrichten