Ansteckung bei Kamelen

Todes-Virus aus Wüste in Wien

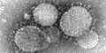
Ein Virus wurde von einer Saudi-Araberin nach Österreich gebracht.

Wie berichtet, handelt es sich um das MERS-Virus („Middle Eastern Respiratory Syndrome Coronavirus“), mit dem die Frau mit dem Flugzeug ins Land gekommen war. Die Erkrankung (die mit grippeähnlichen Symptomen beginnt und in einem Drittel der Fälle tödlich endet) wurde eindeutig von Spezialisten identifiziert.

Der Zustand jener Patientin, die auf der Isoliersta­tion des auf Infektionserkrankungen spezialisierten Kaiser-Franz-Josef-Spitals in Wien liegt, war Dienstagnachmittag unverändert kritisch. In der Zwischenzeit wurden alle Menschen, die mit der MERS-Patientin Kontakt hatten, über die Erkrankung – die erstmals in Österreich auftrat – informiert.

Sollten in den kommenden zwei Wochen bei den Betroffenen (darunter auch die anderen Fluggäste von Saudi-Arabien nach Wien) Symp­tome, wie etwa Fieber, auftreten, muss sofort ein Arzt aufgesucht werden. Bisher trat die Krankheit 800 Mal weltweit auf.

Fehler im Artikel gefunden? Jetzt melden.
OE24 Logo
Es gibt neue Nachrichten